Mantis MR Teknolojisi Nedir Nasıl Uygulanır? İsmini kullanılan cihazdan alan Mantis MR Bölgesel Zayıflama işlemi; çeşitli cilt problemlerinden lokal incelmeye ... Devamını Oku
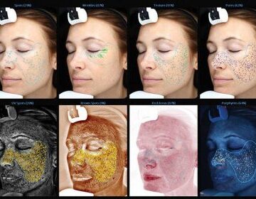
3D Cilt Analizi; Klinik değerlendirme öncesi gerçekleştirilen 3D Cilt Analizi cilt problemlerinin doğru teşhis edilmesini ve bu problemlere uygun tedavilerin ... Devamını Oku
Karbon Peeling Nedir Faydaları Nelerdir?; Cilt bakım ve tedavi yöntemi olan Karbon Peeling Nedir Faydaları Nelerdir işlemi ciltteki lekeleri, büyümüş ... Devamını Oku
Altın İğne ile Akne Tedavisi; Cilt tedavisi yöntemlerinden olan Altın İğne ile Akne Tedavisi cilt gençleştirme, cildin yenilenmesi, boyun toparlama, ... Devamını Oku
Q Switch Lazer; Yeni nesil lazer sistemlerinden olan Q Switch Lazer sistemi lazer atım süresinin saniyenin milyonda biri seviyesine kısaltılmış ... Devamını Oku
Sivilce İzi Nasıl Tedavi Edilir?; Önemli bir cilt problemi olan sivilce ve akne problemlerinde kullanılan Sivilce İzi Tedavisi sivilce izlerinin ... Devamını Oku
Cildinizi Yenileme Yöntemleri; Kadın ve erkekleri için uygulanmakta olan Cildinizi Yenileme Yöntemleri ile ciltte oluşan leke, akne, iz, yaşlanma belirtileri ve ... Devamını Oku
Gençleştiren Besinler; Anti aging yaşam içerisinde önemli olan Gençleştiren Besinler ile cildinizin yaşlanmaya bağlı gelişen etkilerini geciktirilebilmekte ve oluşabilecek deformasyonların ... Devamını Oku
Vücut Bakımı Nedir Nasıl Yapılır?; Doğru Vücut Bakımı uygulamaları ile çevresel, genetik ya da yaşlanmaya bağlı oluşabilecek cilt deformasyonlarını geciktirmek, ... Devamını Oku
Koltuk Altı Kararması ve Beyazlatma Yöntemleri; Estetik problemlere neden olan Koltuk Altı Kararması ve Beyazlatma Yöntemleri ile bölgede oluşan kararmaların ... Devamını Oku
Daha Dolgun Kirpikler İçin Ne Yapmak Gerekir?; Göz makyajı içerisinde önemli bir yere sahip olan Dolgun Kirpikler doğru rimel metotları ... Devamını Oku
Tırnak Bakımı İçin Pratik Bilgiler; Kişisel Tırnak Bakımı İçin Pratik Bilgiler içerisinde çabuk kırılan, uzamayan ya da cansız tırnaklar için ... Devamını Oku
Ev Yapımı Yüz Maskesi; Kişisel cilt bakım uygulamalarından olan Ev Yapımı Yüz Maskesi cilt yüzeyindeki yüzeyel problemleri basit ve etkili ... Devamını Oku
Ayak Detoksu Nedir Nasıl Yapılır?; Bir bakım prosedürü olan Ayak Detoksu Nedir Nasıl Yapılır vücudun fiziksel ve ruhsal enerji seviyesini, ... Devamını Oku
Kaş Ekimi; Kadın ve erkekler tarafından güvenle tercih edilen Kaş Ekimi, kaş hacminde azalmalar ve kaş kalınlığının incelmesi olarak ortaya ... Devamını Oku
İğneli Radyofrekans İle Akne Tedavisi; Cilt üzerinde estetik ve kozmetik sorunlara neden olan aknelerin yol açtığı problemleri gidermek amacı ile ... Devamını Oku
Lazerle İz Tedavisi; Cilt bakımı, cilt yenileme ve çeşitli cilt problemlerinde tedavi amacı ile kullanılmakta olan lazerin yara ve skar ... Devamını Oku